myke savage.com: photos: Tahiti and Bora Bora

Myke's Photo Gallery: Bora Bora Dives 1 and 2: Anau and Tapu Nui
August 25, 2025

Day List | Exploring Tahiti | Tahiti Dives 1 & 2 | Tahiti Dives 3 & 4 | Exploring Bora Bora | Bora Bora Dives 1 & 2 | Bora Bora Dives 3 & 4 | Bora Bora Dives 5 & 6



COPYRIGHT NOTICE:
All photos and videos within this webpage are copyright 2025, Myke Savage, unless otherwise noted. All rights reserved.
You may not copy or link to these images on the web, in print, or any other media without prior permission from the copyright holder.


The dive boat from Bora Ocean Adventures picked me up from the dock at the Thalasso at 8:15am and we went directly to the dive site, Anau, just 5 minutes from the hotel. I got set up while we were on the way so we could jump in the water as soon as we got there. This site is known for being a home to many local Manta Rays. Our divemaster, Jean-Pascal, told us to get as close to the bottom of the reef as possible and stay flat as a pancake to avoid scaring away the rays. It took us a little while to find them, and we even passed a ray that had been "drawn" in the sand using sea cucumbers. But then we saw our first sighting! This beautiful manta ray came up on our right side and passed us, just flying through the water. We thought that might be it, but after we started heading back, a diver behind me tapped me on my leg and pointed. Another giant ray was coming up next to us as well! We stayed behind the group to allow the ray to pass us and then tried to catch up with the group. The ray made it look like he was going slowly through the water, barely flapping his wings, but when we tried to catch up, our little flippers were no match for the current and it took a lot more effort for us mere humans. When we caught up to the group, they noticed the ray as well and then he turned around and soared right over my head.

The second dive of the day took us out into the open ocean, just past the one opening in the reef for the island, to a site called Tapu Nui. This dive site was about a 45 minute boat ride from the previous one. Jean-Pascal told us to expect to see an anemone, then black-tipped reef sharks, and then a swim-through with a lionfish. That is exactly what we saw, in that exact order.

Shortly after descending onto the reef around 50', we headed over to see the anemone with two good-sized clownfish guarding it. They were about 8 inches long, much bigger than Nemo.

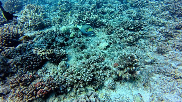
I saw this beautiful fish with long eyelashes and yellow cheeks which looked like it had too much makeup on. It was huge too -- bigger than any of the other reef fish. Probably about 2 feet long. Later found out that it was a Titan Triggerfish which is "the most feared fish by divers" because they are very aggressive and if they are protecting a nest, they won't leave you alone once you disturb them. This one was pretty nice though and let me get right up on her to take a photo.

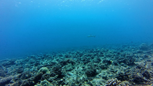
Shortly after, I saw my first shark on the dive -- a black-tipped reef shark -- off in the distance. And then another one appeared and eventually we had about a dozen of them patroling back and forth in front of us. We stayed and hung out with the sharks for a while before continuing the dive. They were really awesome to see!

We got to the swim-through area and I let everyone else go first. It was a relatively small opening and at the top side of the "cave" was a single brown and white stripped lionfish just hanging out at the top of the rocks. After swimming through, you could see a bunch of tiny bubbles from all of the air we had exhaled while in the tunnel which was seeping its way through the sand.

Descending on the coral at Anau
Descending on the coral at Anau
Spotfin Squirrelfish
Spotfin Squirrelfish
Whitespotted Pufferfish
Whitespotted Pufferfish
Whitespotted Pufferfish
πŸŽ₯ Movie: Whitespotted Pufferfish
Searching for mantas...
πŸŽ₯ Movie: Searching for mantas...
School of scissor-tail sergeants
School of scissor-tail sergeants
The mantas must be near…
The mantas must be near…
Threadfin Butterflyfish
Threadfin Butterflyfish
First manta ray sighting!
πŸŽ₯ Movie: First manta ray sighting!
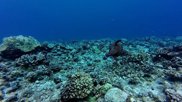
Honeycomb Grouper
πŸŽ₯ Movie: Honeycomb Grouper
Humbug Dascyllus
Humbug Dascyllus
Manta Ray
Manta Ray
Manta Ray
πŸŽ₯ Movie: Manta Ray
Manta Ray
πŸŽ₯ Movie: Manta Ray
Cushion Starfish
Cushion Starfish
Looking back at the island of Bora Bora after the dive
Looking back at the island of Bora Bora after the dive
Big school of Orangespine unicornfish
πŸŽ₯ Movie: Big school of Orangespine unicornfish
Clownfish and Sea Anemone
πŸŽ₯ Movie: Clownfish and Sea Anemone
Clownfish and Sea Anemone
πŸŽ₯ Movie: Clownfish and Sea Anemone
Whitecheek Surgeonfish on the reef
Whitecheek Surgeonfish on the reef
Whitecheek Surgeonfish
Whitecheek Surgeonfish
Titan Triggerfish (these are typically very aggressive but this one was chill)
πŸŽ₯ Movie: Titan Triggerfish (these are typically very aggressive but this one was chill)
Black-tipped Reef Sharks
πŸŽ₯ Movie: Black-tipped Reef Sharks
Black-tipped Reef Sharks
πŸŽ₯ Movie: Black-tipped Reef Sharks
Black-tipped Reef Sharks
πŸŽ₯ Movie: Black-tipped Reef Sharks
Whitespotted Pufferfish
πŸŽ₯ Movie: Whitespotted Pufferfish
Black-tipped Reef Sharks
πŸŽ₯ Movie: Black-tipped Reef Sharks
Swim-through with a Lionfish
πŸŽ₯ Movie: Swim-through with a Lionfish
Bubbles over the swim-through after we were all through it
πŸŽ₯ Movie: Bubbles over the swim-through after we were all through it
Underwater Selfie
Underwater Selfie